Kurzbeschreibung
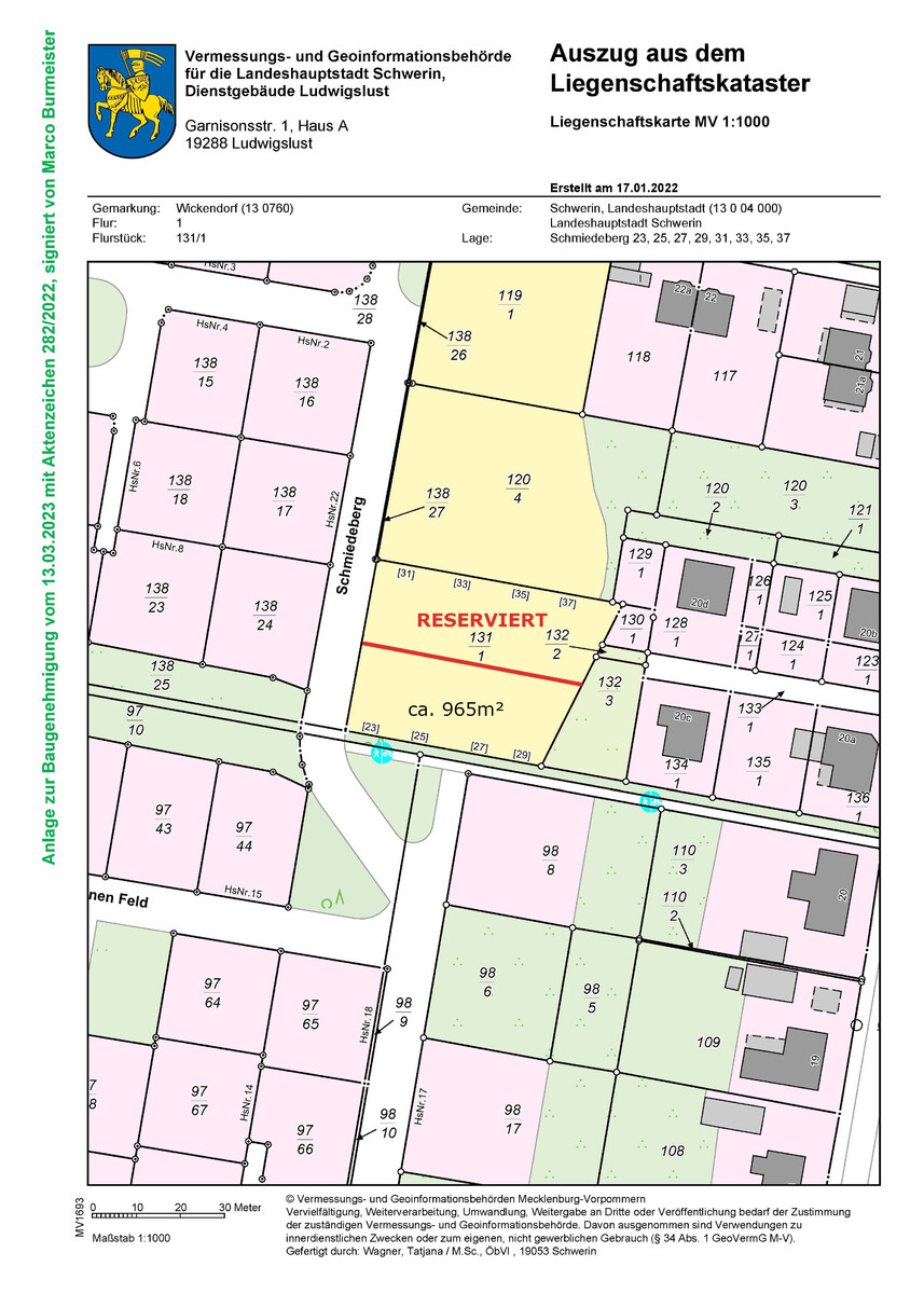
Schwerin-Wickendorf: 8 DHH-Baugrundstück / teilbar 2.040m², mit Baugenehmigung
| Exposetyp: | Grundstück |
| Angebotstyp: | Verkauf |
| Standort: | 19055, Schwerin, Wickendorf |
| Grundstücks-Typ: | Wohngrundstück |
| Grundstücks-Fläche: | 962 m² |
| Verkaufpreis: | 269.000,- EUR |
| Courtage: | 3,57% inkl. MwSt. |
Zum Verkauf angeboten wird ein 962m² großes Baugrundstück im Schweriner Ortsteil Wickendorf. Das Grundstück ist weitestgehend zur Bebauung vorbereitet. Es ist gerodet und frei von Altbestand, Baustrom und Bauwasser liegen an.
Die in Massivbauweise geplanten 2-geschossigen DHH entsprechen dem KfW-40-Standard. Die Wohn-/Nutzfläche von ca. 118m² bietet Platz für 5 Wohn-/Schlafzimmer inkl. ausgebautem Dachstudio.
Das im Jahr 2021 erschlossene Neubaugebiet weist knapp 170 Baugrundstücke aus. Alle Grundstücke sind verkauft und wurden zwischenzeitlich mit unterschiedlichsten Einfamilienhäusern bebaut. Dazu gehören 1- und 2-geschossige EFH und DHH ebenso wie Bungalows, mit verschiedenen Dachformen und vielfältiger Fassadenverkleidung
wie Holz, Klinker und Putz. Die Form der Bebauung regelt im Wesentlichen der B-Plan "Wickendorf-West", 2. Teilungsentwurf, AZ: 17010/16.01.2019.
Weitere Baugrundstücke werden innerhalb des Neubaugebietes derzeit nicht mehr zum Verkauf angeboten.
Lage
Die Lage ist besonders bei jüngeren Familie sehr beliebt. Kita und Spielplatz finden sich innerhalb des als Tempo-30 Zone ausgewiesenen Neubaugebietes. Von der Bushaltestelle (ca. 400m) benötigt man 19 Fahrminuten zum Schweriner HBF. Der Schweriner See (ca. 600m) ist in wenigen Gehminuten bequem erreichbar. Die öffentliche Badeanstalt direkt am Schweriner See im benachbarten Seedorf (1,4km) ist bei Jung und Alt gleichermaßen beliebt. Zahlreiche angebotene Ferienwohnungen zeugen von der Beliebtheit und dem hohen Freizeitwert des gesamten Umfeldes.


Ein echtes Zuhause erbaut sich für ein ganzes Leben. Mit dem Finanzierungsfundament von HYPLIFE lassen wir Ihren Traum Wirklichkeit werden. Bei diesem sehr persönlichen Prozess unterstützen wir Sie bei jedem Schritt. Aus dem Umfeld heraus, indem wir selbst Zuhause sind – in Düsseldorf und Hamburg. Mit gewachsenen Partnerstrukturen, vertrauensvollen, langjährigen Beziehungen zu Banken, einem starken Team und dem ganzheitlichen Blick für Sicherheit, Qualität und Wert.
















